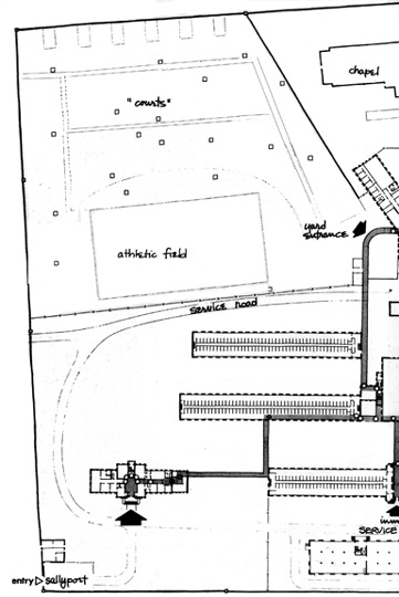
showing inmate recreation yard patio courts in relation to other features in the prison.

 <-- previous [maps list]